Tormenta tropical Melissa podría convertirse en "un huracán mayor" para el domingo (NHC)
La tormenta tropical Melissa debería convertirse en "un huracán mayor" para el domingo, advirtió el
1 minuto de lectura'

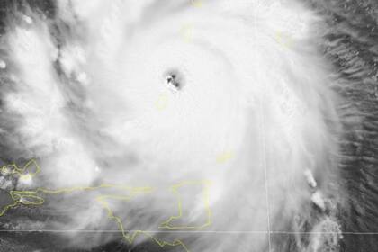
La tormenta tropical Melissa debería convertirse en "un huracán mayor" para el domingo, advirtió el viernes el Centro Nacional de Huracanes de Estados Unidos (NHC).
"Melissa debería convertirse en un huracán para el sábado y en un huracán mayor para el domingo", indicó el NHC en un boletín publicado a las 09:00 GMT.
El viernes por la mañana, Melissa se encontraba a 260 km al sur-sureste de Kingston y a 445 km al suroeste de Puerto Príncipe.
La tormenta tropical Melissa debería traer varios días de fuertes lluvias a República Dominicana, Haití y Jamaica, y podría provocar inundaciones repentinas "catastróficas" y "que amenazan la vida", así como deslizamientos de tierra, indicó el NHC.
Melissa, la decimotercera tormenta tropical de la temporada, estaba en posición "casi estacionaria" el viernes por la mañana, pero debería desplazarse lentamente hacia el noreste y el norte más tarde en el día y durante la próxima noche.
Debido a su lento desplazamiento, las condiciones desfavorables podrían persistir varios días en las zonas afectadas.
aje/djb/mr
1Revelan mails en los que Epstein afirma que Trump “sabía de las chicas” y “pasó horas en su casa” con una de ellas
2La increíble “lluvia de iguanas” en Florida: por qué caen de los árboles y qué dicen las autoridades
3Ola de frío: la ciudad de Texas que se congela más que Chicago
4No son las serpientes de Texas: los animales que causan un gran problema en los parques estatales






