Dorian alcanza la máxima potencia: ya es un huracán de categoría 5
1 minuto de lectura'

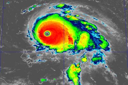
MIAMI.- Dorian avanza y se intensifica y se vuelve potencialmente catastrófico. El huracán que desde hace días crece en el océano Atlántico y se dirige a los Estados Unidos alcanzó ahora la categoría 5: podría mostrar vientos de hasta 400 kilómetros por hora.
Las islasBahamas se preparan para ser las primeras en recibir hoy el impacto de esta tormenta, que se espera luego enfile rumbo a la costa sureste estadounidense. El Centro Nacional de Huracanes (NHC), con sede en Miami, advirtió en su boletín que el potente ciclón impactará "cerca de o sobre" las islas Gran Bahama y Abaco, noroeste del archipiélago. Allí miles de personas abandonaron sus casas para evitar desastres mayores.
Durante la noche del lunes y la madrugada del martes Dorian se aproximará a la Florida, de acuerdo al NHC, que no obstante indicó que es difícil predecir con qué intensidad golpeará a ese estado tras su cambio de trayectoria.

Hasta hace horas, el ciclón conllevaba vientos de 240 km/h, con ráfagas incluso más fuertes, por lo que los especialistas ya preveían que podría alcanzar la categoría 5, la máxima de la escala Saffir-Simpson.
Los meteorólogos habían dado cuenta más temprano de un cambio de curso del huracán y "que la nueva ruta pronosticada no excluye que Dorian toque tierra en la costa de Florida, ya que grandes porciones de la costa permanecen en el cono de la incertidumbre".
Se espera que el fenómeno siga avanzando hacia el oeste y gire hacia el norte, rumbo a Carolina del Sur y Carolina del Norte, a medida que se acerque a la costa este de Florida el lunes.
Trump, atento
El presidente Donald Trump, cuyo club de golf Mar-a-Lago se encuentra en Palm Beach (Florida) y podría verse afectado, dijo que Dorian "parecía que podría ser un monstruo absoluto". Ante su llegada, canceló un viaje a Polonia para concentrarse en los preparativos para la tormenta.
"Se está moviendo y es muy difícil de predecir", escribió Trump en un tuit ayer, señalando que Georgia, Carolina del Sur y Carolina del Norte ahora podrían estar en primera línea. "Es uno de los (ciclones) más grandes y fuertes (y realmente amplios) que hemos visto en décadas. ¡Cuídense!", agregó.

Agencias AP y AFP
1El Parlamento Europeo paralizó el acuerdo con el Mercosur y lo remitió a la Justicia
- 2
Groenlandia acapara el Foro de Davos y Europa denuncia el regreso del colonialismo de la mano de Trump
3Davos: el encendido discurso del primer ministro de Canadá contra Trump y las potencias mundiales
- 4
Tragedia de Adamuz: se conocieron audios del maquinista tras el choque de trenes






