
Las misteriosas figuras de Kazajistán retratadas desde el espacio

Desde el suelo, es un paisaje poco memorable.
Pero desde el aire, a una distancia de aproximadamente 700 Km, esta enorme superficie desierta en el norte de Kazajistán tiene un aspecto más que singular.
Una serie de fotos satelitales reveladas días atrás por la NASA muestran en detalle gigantescas figuras geométricas –que recuerdan a las famosas líneas de Nazca en Perú o a los geoglifos en el norte de Chile– que sólo pueden reconocerse como tales desde dicha perspectiva.
Son cuadrados, cruces y esvásticas que se extienden por un terreno que abarca varias canchas de fútbol y que, según investigadores, podrían tener una antigüedad de alrededor de 8.000 años.

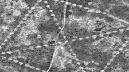
En total –entre montículos, zanjas y terraplenes– hay al menos 260 rasgos ordenados en cinco formas básicas.
La más grande de las estructuras, localizada cerca de un asentamiento neolítico, es un cuadrado formado por 101 montículos cuyas esquinas opuestas están conectadas por una cruz en diagonal.
El área combinada de esta formación es superior a la de la Gran Pirámide de Keops en Egipto.
Observatorios
Estos extraños dibujos, en la región de Turgai, fueron descubiertos por Dmitriy Dey –economista y amante de la arqueología– en 2007, gracias a Google Earth.
Desde entonces, su origen y función continúan intrigando a los investigadores.
"Nunca he visto algo como esto. (Las estructuras) son extraordinarias", señaló Compton J. Tucker, uno de los científicos de la NASA involucrado en la publicación de las imágenes.
En opinión de Dey, los dibujos no fueron creados para ser vistos desde arriba.

Dey cree que lo más probable es que las figuras creadas por las líneas puntuadas por montículos hayan sido "observatorios horizontales para seguir el movimiento del sol naciente", una teoría que también se utiliza para explicar la función de Stonehenge, el monumento de piedra en el sur Inglaterra.
Antiguamente, tribus de la Edad de Piedra se trasladaban para cazar a esta región.
Según Dey, la cultura Mahanzhar, que habitaba la zona entre los años 7.000 a.C. y 5.000 a.C., podría haber creado algunas de las estructuras más antiguas.
Más fotos
La propuesta de Dey pone en entredicho las ideas establecidas sobre las culturas nómades, ya que hasta ahora se creía que los grupos cazadores recolectores no permanecían suficiente tiempo en un lugar como para crear construcciones de semejante escala, como la que se observa en Kazajistán.

Construir estas estructuras, además, requiere un gran número de personas e implica "un esfuerzo enorme", explica Giedre Motuzaite Matuzeviciute, arqueóloga de la Universidad de Cambridge, en Reino Unido, quien visitó el sitio el año pasado.
Matuzeviciute también duda en calificar a estas líneas de geoglifos –como las enigmáticas líneas de Nazca en Perú– ya que este nombre se emplea cuando el propósito es artístico y no cuando el objeto tiene una función.
Hasta el momento, el estudio de las estructuras ha avanzado a paso lento y los investigadores esperan que la publicación de las fotografías de la NASA contribuya a aumentar el interés por el tema.
La NASA ciertamente está interesada: ha incluido la toma de más fotografías a la lista de tareas de los astronautas actualmente a bordo de la Estación Espacial Internacional, que esta semana celebra su 15º aniversario desde que está continuamente habitada.
Más en BBC Mundo
Hallan en Inglaterra un Stonehenge cinco veces más grande que el original
El hombre que fue a comprar unas cortinas y regresó con el sitio arqueológico de Stonehenge



