Erick tocó tierra en el estado mexicano de Oaxaca como huracán de categoría 3
El ciclón perdió potencia justo antes de tocar tierra, luego de haberse convertido a categoría 4 durante la noche; la presidenta pidió a la población que se resguarden y se dispuso un amplio operativo de prevención
6 minutos de lectura'

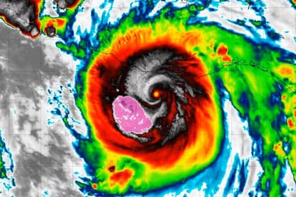
PUERTO ESCONDIDO, México.- El potente huracán Erik tocó tierra en el estado de Oaxaca, México, en la madrugada del jueves, dijo el Centro Nacional de Huracanes de Estados Unidos (NHC, por sus siglas en inglés).
“El gran huracán Erick toca tierra en el extremo occidental de Oaxaca, México, justo al este de Punta Maldonado. Los vientos máximos sostenidos se estiman en cerca de 205 km/h”, informó el NHC en sus redes sociales.
El huracán estaba a unos 30 kilómetros al este de Punta Maldonado y avanzaba en dirección noroeste a 15 km/h.
Erick perdió algo de potencia justo antes de tocar tierra, después de haberse convertido en un meteoro de categoría 4 “extremadamente peligroso”, durante la noche. Un huracán se considera de gran categoría cuando llega a la 3, con vientos que alcanzan los 210 km/h.
La tormenta podría acarrear vientos devastadores y causar inundaciones repentinas y peligrosas marejadas, según la previsión meteorológica.
Se espera que Erick se debilite rápidamente sobre las montañas de México y es posible que el sistema se disipe el jueves por la noche o a primera hora del viernes, de acuerdo con el NHC.
A diferencia de lo que ocurrió en octubre de 2023 con el impacto del huracán Otis, de categoría 5, en Acapulpo -que dejó 52 muertos y una treintena de desaparecidos- esta vez las autoridades mexicanas emitieron numerosas alertas tempranas. Y la población empezó desde la mañana del miércoles a tomar precauciones.
La presidenta mexicana, Claudia Sheinbaum, envió un mensaje a través de X, al final de la tarde en donde pedía a los habitantes de Guerreo y Oaxaca que se quedaran en sus casas, que estuvieran juntos y que si vivían en zonas bajas o cercanas a ríos, se trasladaran a los albergues habilitados. Todas las actividades quedaron suspendidas.
“Resguardarse, no salgan, manténganse juntos en familia. Si viven lugares bajos trasládense a los albergues. Manténganse informados por redes oficiales. Voy a estar muy atenta a lo que suceda esta noche”, dijo Sheimbaun ayer en un mensaje difundido en redes sociales.
Aviso importante sobre el huracán Erick categoría 3, que avanza hacia las costas de Guerrero y Oaxaca. Mantengámonos informados. pic.twitter.com/QsvL8RegX0
— Claudia Sheinbaum Pardo (@Claudiashein) June 19, 2025
“Extremadamente peligroso”
En medio de la alerta por la llegada del huracán, el servicio meteorológico local había advertido ayer que la tormenta se fortaleció durante la noche del miércoles hasta convertirse en un peligroso ciclón de categoría 3 mientras se acercaba a la costa sur de México. Más tarde, su categoría se había elevado a 4, convirtiéndose en “extremadamente peligroso”.
Antes de la llegada, diferentes videos ya mostraban cómo los poderosos vientos y el fuerte oleaje destruían locales, derribaban árboles y provocaban inundaciones repentinas.
Erick, que apenas horas antes era un ciclón de categoría 1, alcanzó vientos máximos de hasta 195 km/h mientras aun estaba a 90 kilómetros al sur-suroeste de Puerto Ángel, según Centro Nacional de Huracanes de Estados Unidos, que decidió aumentar su categoría y su nivel de amenaza.
Para catalogarse como categoría 4, o superior, sus vientos deben estar entre 209 y 251 km/h.
🌊 Así luce la bahía principal de Puerto Escondido, horas antes de que el huracán 'Erick', categoría 3, toque tierra
— El Universal (@El_Universal_Mx) June 19, 2025
📸 #FOTOS Edwin Hernández de EL UNIVERSAL pic.twitter.com/C3YxNX8aQY
En esta ocasión se redoblaron las precauciones en la zona. Guardia Nacional y agentes de la policía monitoreaban las calles, y se dispuso el trabajo mancomunado de la compañía nacional de electricidad, y sanitaria con cuadrillas que despejaban canales de drenaje y maleza.
El mar se veía fuertemente agitado al inicio de la noche en Puerto Escondido, donde algunos pescadores aún trataban de retirar sus embarcaciones de las playas, mientras las olas arrastraban ya basura, sillas y otros objetos con la subida de la marea.

La Capitanía de Puerto ordenó que nadie espere el paso de la tormenta a bordo de embarcaciones. Durante Otis, muchas personas perdieron la vida al quedarse dentro de los botes en el puerto, lo que tradicionalmente había sido su forma de garantizar su seguridad durante el paso de tormentas anteriores.
La coordinadora nacional de protección civil de México, Laura Velázquez, dijo el miércoles que Erick podría traer lluvias “torrenciales” a Guerrero, Oaxaca y Chiapas en el sur de México. La región montañosa a lo largo de la costa es especialmente propensa a deslaves y hay numerosos ríos que podrían desbordarse.
Los meteorólogos dijeron que se tenía previsto que Erick azotara la costa del Pacífico mexicano con fuertes lluvias, vientos intensos y una feroz marejada ciclónica. Podrían caer hasta 40 centímetros de lluvia en los estados de Oaxaca y Guerrero, y niveles más bajos en Chiapas, Michoacán, Colima y Jalisco, según el aviso del centro. Hay riesgo de inundaciones y deslizamientos de tierra, especialmente en áreas con terreno empinado.

Desde Acapulco a Puerto Ángel entró en vigor una alerta de huracán, lo que significa que se anticipan condiciones de ciclón en la zona y deben realizarse preparativos para proteger la vida y las propiedades lo más rápido posible, de acuerdo con el NHC.
La gobernadora de Guerrero, Evelyn Salgado, dijo que todas las escuelas cerraron el miércoles y que el estado había alertado a todos los operadores de pesca y turismo sobre el riesgo de la tormenta que se avecina, por lo que recomendó que preparen sus embarcaciones.
Temor y recuerdos de Otis
El puerto de Acapulco cerró la noche del martes. Salgado añadió que se instalaron 582 albergues para recibir a personas que podrían verse obligadas a evacuar sus hogares.
El ciclón ha reavivado muchos temores. Acapulco quedó destrozada después de Otis y arrasó por completo, entre otros, el restaurante de Carlos Ozuna Romero, un empresario de 51 años que instaló su negocio a orillas de una de las playas de la turística ciudad.
“Los avisos de las autoridades nos infunden miedo y obviamente nos hacen evocar todo lo que ya pasamos”, dijo Ozuna Romero mientras orientaba a sus trabajadores sobre cómo resguardar las sillas y mesas del restaurante para hacer frente al posible impacto de Erick.
Frente al restaurante, un puñado turistas en traje de baño permanecía sentados en sillas plásticas escuchando canciones de reggaetón y otros aprovechaban las últimas horas de sol para zambullirse en el mar que estaba completamente tranquilo.
En paralelo, la ciudad se veía con una fuerte presencia de la Guardia Nacional y de la policía, así como de camionetas de la compañía eléctrica. Con Otis, se fue la luz en la primera noche y tardó días en restablecerse el servicio.
Verónica Gómez, una trabajadora de una empresa naviera de 40 años, no ocultaba su temor. “Todos estamos asustados porque pensamos que puede pasar lo mismo”, recordó sobre los enormes daños a la infraestructura, las pérdidas y las víctimas que hubo en Acapulco, donde viven un millón de personas.
Agencias AP y AFP
Otras noticias de Mexico
Freno a la carne. México levantó las sanciones sanitarias a frigoríficos argentinos, pero subió un 25% los aranceles
Crimen de un argentino en Tulum: se confirmó la hipótesis del narcomenudeo y detuvieron a dos sospechosos
Uno por uno. Cuáles son los carteles presentes en México, designados como “terroristas” por Donald Trump
- 1
Cómo es la vida cotidiana en Groenlandia, la isla ártica que quiere controlar Donald Trump
2El Parlamento Europeo paralizó el acuerdo con el Mercosur y lo remitió a la Justicia
- 3
Groenlandia acapara el Foro de Davos y Europa denuncia el regreso del colonialismo de la mano de Trump
4Davos: el encendido discurso del primer ministro de Canadá contra Trump y las potencias mundiales





