Mapa del huracán Melissa: el camino de la tormenta categoría 5 que impactará en Jamaica
Con vientos superiores a los 250 km/h y una intensificación explosiva alimentada por aguas excepcionalmente cálidas, la tormenta de categoría 5 se dirige primero a Jamaica antes de avanzar hacia Cuba y Bahamas
4 minutos de lectura'

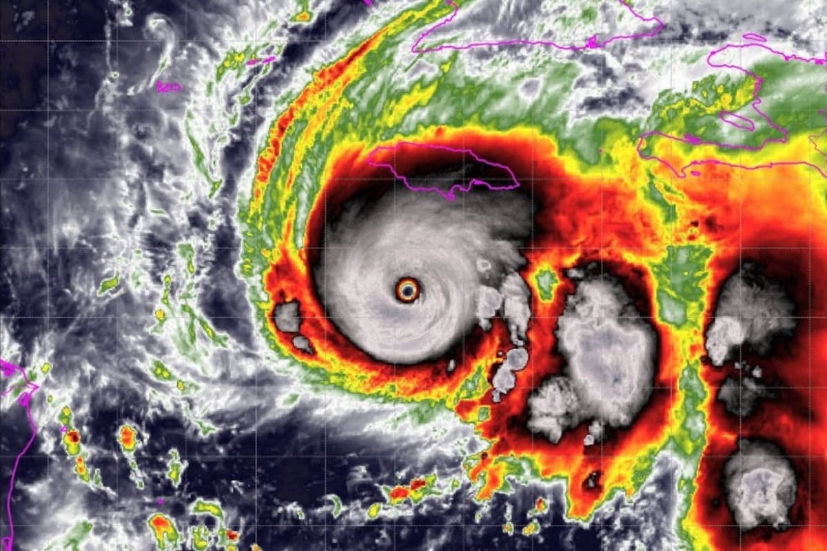
El huracán Melissa alcanzó la categoría 5 la mañana del lunes mientras avanzaba lentamente por el mar Caribe hacia Jamaica, donde se espera que toque tierra entre la noche del lunes y la madrugada del martes con una intensidad histórica. El Centro Nacional de Huracanes de Estados Unidos (NHC, por sus siglas en inglés) advirtió que el ciclón podría convertirse en el huracán más poderoso jamás registrado en el país, superando a Gilbert, que devastó la isla en 1988.
Con vientos sostenidos de alrededor de más de 250 km/h y desplazándose a apenas 5 km/h hacia el oeste, Melissa avanza como una muralla de viento, lluvia y marejada ciclónica. El lento movimiento del sistema agrava los riesgos: cuanto más tiempo permanece sobre un área, más prolongadas y destructivas se vuelven las lluvias, las inundaciones y los vientos. “El mensaje es claro: no salir de los refugios”, advirtió el NHC. “Se esperan inundaciones repentinas catastróficas, numerosos deslizamientos de tierra, daños estructurales extensos y cortes prolongados en las comunicaciones y la electricidad”.
Hurricane #Melissa Advisory 24A: Noaa and Air Force Reserve Hurricane Hunters Investigating Category 5 Melissa. Destructive Winds and Storm Surge and Catastrophic Flooding Will Worsen On Jamaica Through the Day and Into Tonight. https://t.co/tW4KeGdBFb
— National Hurricane Center (@NHC_Atlantic) October 27, 2025
Por qué se fortaleció tan rápido
En los últimos años, la intensificación rápida —cuando un huracán gana fuerza explosivamente en menos de 24 horas— se ha vuelto más común en el Atlántico. Melissa es el ejemplo más reciente y más extremo de ese fenómeno esta temporada. El Caribe central presenta actualmente aguas excepcionalmente cálidas, que actúan como combustible puro para los ciclones. A esto se suma una atmósfera saturada de humedad y baja cizalladura del viento, es decir, vientos débiles en altura que permiten que la estructura del huracán permanezca simétrica y estable. Es, en términos meteorológicos, el escenario perfecto para que una tormenta no solo se mantenga, sino que se vuelva más violenta.
Climatólogos advierten que el calentamiento global está aumentando la probabilidad de que los huracanes se intensifiquen más rápido y produzcan lluvias más intensas. Una atmósfera más cálida puede retener mayor cantidad de vapor de agua, lo que permite que los sistemas tropicales descarguen volúmenes mayores de lluvia en períodos más cortos.
La ruta esperada
Se prevé que Melissa toque tierra en la costa sur occidental de Jamaica, posiblemente en las parroquias de Westmoreland o Saint Elizabeth, antes de cruzar las zonas montañosas del interior durante seis a nueve horas. Esto concentrará los vientos más violentos y las lluvias torrenciales en los condados de Cornwall y Middlesex.
Las precipitaciones podrían alcanzar más de un metro en áreas elevadas, lo que incrementa significativamente el riesgo de inundaciones repentinas y deslizamientos de tierra. A esto se sumará una marejada ciclónica peligrosa, con un aumento del nivel del mar estimado entre tres y cuatro metros, acompañada de olas rompientes capaces de avanzar hacia zonas bajas cercanas a la costa. Además, se esperan vientos con fuerza huracanada en gran parte del centro y el oeste de la isla, capaces de arrancar árboles, derribar postes y cortar redes eléctricas y de comunicación.
Luego de atravesar Jamaica, el huracán se dirigirá hacia el sureste de Cuba entre el martes y el miércoles, afectando provincias como Granma, Santiago de Cuba, Guantánamo y Holguín, donde también se esperan marejadas, lluvias intensas y daños estructurales. Más adelante, entre miércoles y jueves, Melissa avanzará hacia el sur de Bahamas y las islas Turks & Caicos, antes de acelerar hacia el Atlántico abierto. Hacia el final de la semana, podría acercarse de manera peligrosa a Bermudas.
Aunque no toque tierra en Estados Unidos, parte de su humedad podría alimentar otro sistema de tormenta que llevaría lluvias intensas desde Washington D.C. hasta Boston entre jueves y viernes.
Melissa es la tercera tormenta de categoría 5 del Atlántico este año, una cifra inusualmente alta. La intensificación rápida, el elemento clave en su desarrollo, se ha vuelto tres veces más frecuente en las últimas cuatro décadas. Los científicos coinciden en que, a medida que los océanos continúan calentándose, huracanes como Melissa —violentos, repentinos y devastadores— serán cada vez más probables en el Caribe y en la costa atlántica de América del Norte.
Su trayectoria, su fuerza explosiva y el potencial destructivo que representa para varias islas del Caribe lo convierten en un fenómeno que no solo pone a prueba la resiliencia local, sino que vuelve a encender la alerta sobre cómo el cambio climático está redefiniendo la escala, el comportamiento y la velocidad de los ciclones tropicales.
Con información del New York Times y el Washington Post
Otras noticias de Caribe
Alarma en el Caribe. Revelan que Maduro le pidió ayuda militar a Rusia y China, y Trump niega haber ordenado un ataque
Recibió un destructor. El país caribeño que se acercó a EE.UU. y ahora se convirtió en el nuevo enemigo jurado de Venezuela
La tormenta del siglo. Qué se sabe del huracán Melissa, tras pasar por Jamaica y llegar a Cuba, este miércoles 29
- 1
Shein inauguró en París su primera tienda física en medio de una polémica por la venta de muñecas sexuales
- 2
María Corina Machado respaldó la estrategia militar de Trump contra Venezuela: “Maduro empezó esta guerra”
- 3
Sheinbaum denunció al hombre que la acosó: “Si esto le hacen a la presidenta, ¿qué va a pasar con todas las mujeres?”
4Portugal interceptó un narcosubmarino con 1,7 toneladas de cocaína en el océano Atlántico





