Qué se sabe del huracán Melissa, tras pasar por Jamaica y llegar a Cuba, este miércoles 29
El ciclón pasó por los países caribeños provocando lluvias torrenciales y ráfagas devastadoras durante su trayecto; debido a su potencia, los daños materiales causados son incalculables; más de 1,5 millones de personas afectadas

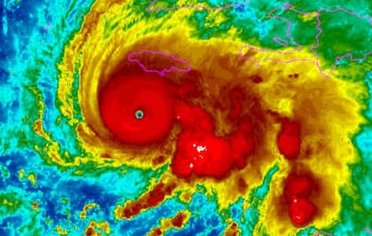
El huracán Melissa tocó tierra este martes en Jamaica como una tormenta catastrófica de categoría 5, la más fuerte que golpeó la isla desde que comenzaron a llevarse registros hace 174 años, con vientos sostenidos que rompieron el umbral de los 320 kilómetros por hora.
En la madrugada del miércoles llegó a la zona este de Cuba, con epicentro en Guantánamo, donde se debilitó y pasó a categoría 3. Autoridades señalaron que el número de evacuados en ciudades como Santiago de Cuba y Holguín asciende a 735.000 personas.
Meteorólogos coinciden en que los daños materiales del huracán Melissa “son incalculables”.
“Algo sin precedentes”
Según detalló la agencia AP, Dennis Zulu, coordinador de la ONU para varios países del Caribe, incluido Jamaica, dijo: “Por lo que sabemos hasta el momento, hubo una destrucción inmensa, sin precedentes, de infraestructuras, propiedades, carreteras, redes de comunicación y de energía. El huracán Melissa es algo sin precedentes”
Las consecuencias del huracán, en imágenes



“La búsqueda continúa”
En declaraciones a medios locales, Emmanuel Pierre, director de operaciones del Centro Nacional de Emergencias de Haití, manifestó que: “La cifra provisional de fallecidos asciende a 20, hay 10 desaparecidos y cuantiosos daños materiales. La búsqueda continúa”.

Trump: “Vamos a dar ayuda humanitaria”
El presidente de EE.UU., Donald Trump, dijo el miércoles que su administración está “preparada para avanzar” para enviar ayuda humanitaria a Jamaica, en medio de la devastación causada allí por el huracán Melissa.
President Trump said the US is prepared to aid Jamaica in the aftermath of Hurricane Melissa pic.twitter.com/ZTB3mciPjk
— Reuters (@Reuters) October 29, 2025
“Sobre una base humanitaria, tenemos que hacerlo”, dijo el mandatario a los periodistas durante su viaje a Asia. “Lo estamos observando de cerca, y estamos preparados para movernos, porque está haciendo un daño tremendo”, concluyó Trump.
El huracán Melissa se debilita y llega a categoría 2
Tras azotar una porción importante del Caribe atlántico, las ráfagas de viento y la intensidad de la lluvia menguaron su potencia, aunque los alertas se mantienen activos.
En el último reporte del CNH, los vientos máximos sostenidos se posicionaron en 165 km/h, rotando en dirección norte-noreste a 22 km/h.

Haití: confirman 20 muertes
Al menos diez personas murieron en Haití por las inundaciones provocadas por el huracán Melissa, que lleva varios días azotando la región del Caribe, según detalla la agencia AFP. Como consecuencia, el río La Digue se desbordó y arrastró a varios habitantes de la ciudad sureña de Petit-Goave.
Según el intendente de la población y el director general de un hospital local, además de haber encontrado una veintena de cuerpos, se busca a un número indeterminado de desaparecidos.

Cómo sigue el recorrido de Melissa
El Centro Nacional de Huracanes estadounidense (CNH, por sus siglas en inglés) apuntó este miércoles que, luego de su paso por Cuba, el huracán continuará su curso por Bahamas hasta acercarse, el jueves, a Bermudas.

Las previsiones indican que el fenómeno natural irá descendiendo su potencia según avancen los días.
Vientos de hasta 185 km/h
Habitantes de Holguín, al este de Cuba, compartieron en redes sociales algunas imágenes del paso del huracán Melissa por esa ciudad.
#29Oct #Cuba #HuracánMelissa
— Reporte Ya (@ReporteYa) October 29, 2025
Imágenes que me llegan desde la ciudad de #Holguin… el huracán #Melissa continúa avanzando por el oriente cubano con vientos de hasta 185 km/h - @MagJorgeCastro
pic.twitter.com/tjjXUMhvXJ
La ONU envía ayuda
La Organización de las Naciones Unidas (ONU) publicó en sus redes sociales el envío de asistencia para los países del Caribe afectados por el paso del huracán Melissa.
As #HurricaneMelissa makes landfall in Jamaica, @WFP and partners are working fast to support impacted communities.
— United Nations (@UN) October 28, 2025
Teams are pre-positioning emergency supplies, coordinating logistics in key locations and providing cash transfers.https://t.co/payCS5OZub pic.twitter.com/U9ujYCEvYW
Los países que comprenden “la zona del desastre”
Además de Jamaica y Cuba, el huracán Melissa también provocó destrozos en Haití, Panamá y República Dominicana. A las personas fallecidas y daños materiales, se le sumaron los problemas estructurales, principalmente la escasez de agua potable y las interrupciones en el servicio de luz.
“Será una noche muy difícil para toda Cuba, pero nos vamos a recuperar”, escribió en la red social X el presidente Miguel Díaz-Canel.
Acabamos de chequear con las provincias las medidas ante el paso de #Melisa. Suman más de 735 mil los evacuados, y aún se continúa trabajando. Será una noche muy difícil para toda #Cuba, pero nos vamos a recuperar, siempre con la fe en la victoria que nos inculcaron Fidel y Raúl. pic.twitter.com/K7rZL4tH3J
— Miguel Díaz-Canel Bermúdez (@DiazCanelB) October 29, 2025
Melissa tocó tierra en Cuba tras golpear a Jamaica
El poderoso huracán Melissa tocó tierra en el este de Cuba este miércoles con vientos máximos sostenidos de 195 km/h, después de haberse debilitado a categoría 3 tras asolar Jamaica con violentas ráfagas y lluvias torrenciales.
El Centro Nacional de Huracanes estadounidense (CNH, por sus siglas en inglés) calificó el huracán de “extremadamente peligroso”. “Melissa tocó tierra en la provincia de Santiago de Cuba, cerca de la localidad de Chivirico”, señalaron desde el organismo.

Las autoridades cubanas informaron que unas 735.000 personas fueron evacuadas, sobre todo en las provincias de Santiago de Cuba, Holguín y Guantánamo
- 1
Shein inauguró en París su primera tienda física en medio de una polémica por la venta de muñecas sexuales
- 2
María Corina Machado respaldó la estrategia militar de Trump contra Venezuela: “Maduro empezó esta guerra”
- 3
Sheinbaum denunció al hombre que la acosó: “Si esto le hacen a la presidenta, ¿qué va a pasar con todas las mujeres?”
4Portugal interceptó un narcosubmarino con 1,7 toneladas de cocaína en el océano Atlántico





