Lo que hay que saber sobre la temporada de huracanes en el Atlántico
De junio a noviembre, la variación en la temperatura de los océanos ocasionará el desarrollo de los fenómenos que podrían impactar en las costas con fuertes vientos, tormentas y oleaje
4 minutos de lectura'

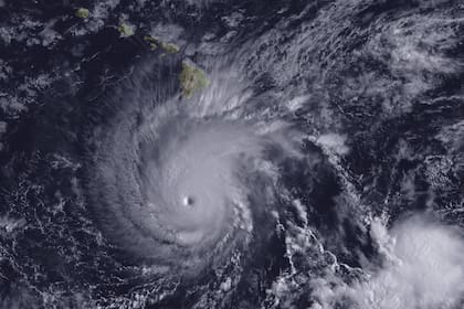
La temporada de huracanes en el Atlántico es un período de gran preocupación para los expertos en el clima, sobre todo ante los riesgos que se generan para millones de personas. Estos fenómenos naturales se forman a partir de un centro de baja presión y variación en la temperatura de los océanos, que producen fuertes vientos, abundantes lluvias y oleaje en las costas.
La temporada de huracanes en el Atlántico se extiende del 1 de junio al 30 de noviembre, pero con especial intensidad entre los meses de agosto a octubre, cuando las condiciones atmosféricas y oceánicas favorecen la formación y el desarrollo de tormentas tropicales. Sin embargo, este 2023 hubo un comienzo rápido en las costas de Estados Unidos, con la aparición de la tormenta tropical Arlene el viernes 2 de junio por la tarde.

Según la Administración Nacional Oceánica y Atmosférica (NOAA, por sus siglas en inglés), se espera que la temporada de huracanes en el Atlántico de 2023 sea cercana o ligeramente superior a los promedios históricos, con un número estimado de 12 a 17 tormentas tropicales, de las cuales entre cinco y nueve podrían convertirse en huracanes.
Es importante destacar que la cantidad de estos fenómenos no necesariamente indica la gravedad de la temporada, ya que uno solo con la fuerza y trayectoria suficiente podría causar un gran impacto en zonas urbanas. De acuerdo con los pronósticos de la NOAA, este 2023 solo de uno a cuatro alcanzarían las categorías más peligrosas, con vientos superiores a los 180 kilómetros por hora.
Las costas de Estados Unidos son especialmente vulnerables a los huracanes debido a su ubicación geográfica. Alrededor del Golfo de México y la costa sureste son particularmente propensos a sufrir el impacto directo de estos fenómenos. Los estados de Florida, Louisiana, Texas, North Carolina y South Carolina son las áreas que han tenido más impactos.
Los peligros asociados con los huracanes derivan de la presencia de fuertes vientos y las lluvias intensas en las zonas de la costa, lo que deriva en inundaciones, deslizamientos de tierra y daños estructurales por la formación de olas gigantes.
El Niño podría reducir intensidad de huracanes en 2023
Después de tres temporadas de huracanes con el fenómeno de La Niña, los científicos de la NOAA predijeron un alto potencial para que El Niño se desarrolle durante este verano boreal, lo que implica el calentamiento de la parte central y oriental del Pacífico ecuatorial. Su presencia podría inhibir la actividad de los huracanes en el Atlántico.
Los especialistas también monitorean la combinación de condiciones favorables en la cuenca tropical del Atlántico, que podría contribuir al desarrollo de tormentas intensas. “Estas condiciones incluyen la posibilidad de un monzón del oeste de África por encima de lo normal, que produce olas del este africano y siembra algunas de las tormentas atlánticas más fuertes y de mayor duración y temperaturas de la superficie del mar más cálidas de lo normal en el océano Atlántico tropical y el mar Caribe”, explicaron los expertos.

Recomendaciones para la población ante la temporada de huracanes
Ante la temporada de huracanes, es fundamental que la población tome las precauciones pertinentes.
- Planifique con anticipación: Elabore un plan de emergencia para su familia donde identifiquen las rutas de evacuación seguras y establezcan formas de comunicación con otros familiares o amigos para establecer un punto de encuentro en caso de separación.
- Abastecer suministros: Asegúrese de tener suficientes alimentos no perecederos, agua potable, medicamentos, linternas, baterías y otros esenciales en caso de un corte de energía prolongado o dificultades para obtener suministros.
- Refuerce su hogar: Previo a la llegada de una tormenta o huracán, considere revisar y hacer las reparaciones necesarias en techos y estructuras, así como instalar paneles para proteger ventanas o puertas que puedan resultar vulnerables a la fuerza del viento.
- Manténgase informado: Siga los informes y pronósticos meteorológicos emitidos por fuentes confiables como el Centro Nacional de Huracanes (NHC, por sus siglas en inglés) y las autoridades locales.
- Evacue la zona cuando sea necesario: Si las autoridades locales emiten una orden de evacuación, todas las personas deben seguir las instrucciones y evacuar de manera segura.
Para monitorear el desarrollo de los fenómenos del clima en los océanos, la NOAA dispone de un sitio web con el pronóstico extendido a siete días. Además, la plataforma especializada tiene otra alternativa donde se muestran las tormentas activas en el Atlántico, así como el histórico de años previos.
Otras noticias de Estados Unidos
“Siempre tocarán a partir de cuartos”. Scaloni hace menos cuentas que antes del sorteo de Qatar, pero piensa en los rivales fuertes
Pulseada multimillonaria. Streaming, intrigas y poder: la jugada de Trump contra Netflix en la guerra por el botín más codiciado
Lo compartió en un chat. Un informe concluye que el secretario de Guerra puso en riesgo a militares de EE.UU. por debatir un operativo en Signal
1Ola de frío en Texas: cuánta nieve se espera y a cuánto bajarán las temperaturas esta semana
2Immigration news in USA: últimas actualizaciones del ICE y la CBP en diciembre 2025
3Firmada por Greg Abbott: qué cambia la nueva “ley de baños” de Texas que entra en vigor hoy, jueves 4 de diciembre 2025
4Dallas y Houston vs. Abbott: las grandes ciudades de Texas se resisten a cooperar con el ICE con acuerdos 287(g)








