Huracán Melissa de categoría 5: última hora, impacto en Jamaica y trayectoria minuto a minuto, este martes 28
Con vientos máximos sostenidos de 300 km/h, el ciclón tocó tierra y se espera que deje a su paso lluvias torrenciales y ráfagas devastadoras, según advirtieron las autoridades; por su potencia, podría arrasar la infraestructura; estiman que luego impactará en Cuba; más de 1,5 millones de personas podrían verse afectadas

Colchones en las ventanas, encierro e incertidumbre: así viven los argentinos el paso del huracán Melissa en Jamaica
El huracán Melissa, de categoría 5, tocó tierra en Jamaica el martes con ráfagas de hasta 295 km/h, y obligó tanto a la población local como a los turistas a buscar refugio ante la amenaza de condiciones catastróficas, lluvias torrenciales, inundaciones repentinas y deslizamientos de tierra, mientras el poderoso fenómeno avanzaba con fuerza por el norte del Caribe. Se espera que la tormenta cruce diagonalmente la isla y golpee Cuba tarde el martes o temprano el miércoles, para luego dirigirse al sureste de Bahamas.
El embajador argentino en Jamaica, Marcelo Balbi Calvo, informó a LN+ que actualmente hay unos 70 turistas argentinos en la isla, alojados “en construcciones consideradas seguras”.
LA NACION se comunicó con algunos de ellos para conocer su experiencia en medio del impacto del quinto huracán más intenso registrado en la cuenca del Atlántico y el más fuerte en la historia de Jamaica desde que existen registros, hace 174 años.
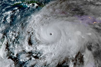
El huracán, por dentro
Así se ve el ojo del huracán Melissa por dentro.
Daños incalculables
Para comprender las consecuencias materiales de este desastre natural, LN+ dialogó con el meteorólogo Enzo Campetella, quien manifestó que: “Estos fenómenos hacen retroceder el PBI de muchos países hasta una década”.

"No hay infraestructura en la región que pueda resistir una categoría 5"
El Primer Ministro de Jamaica, Andrew Holness, publicó en su perfil de la red social X que “No hay infraestructura en la región que pueda resistir una categoría 5. La verdadera pregunta será la velocidad de recuperación”.
A hurricane warning remains in effect for Jamaica as conditions continue to deteriorate ahead of hurricane landfall. pic.twitter.com/VoYGwOqxw1
— Andrew Holness (@AndrewHolnessJM) October 28, 2025
Las posibles consecuencias del huracán
El primer ministro jamaicano, Andrew Holness, quiso ser honesto con la población sobre las consecuencias del huracán en las zonas más golpeadas. “No creo que haya infraestructura en esta región que pueda resistir un huracán de categoría 5”, declaró.
“Para Jamaica será la tormenta del siglo hasta ahora”, afirmó Anne-Claire Fontan, de la Organización Meteorológica Mundial.
La ruta del huracán Melissa

El quinto huracán más intenso del Atlántico
Melissa es el quinto huracán más intenso del Atlántico registrado por presión, y el más fuerte en tocar tierra desde Dorian en 2019, según el especialista en huracanes y experto en marejadas ciclónicas, Michael Lowry. “Es un escenario catastrófico para Jamaica”, dijo.
Melissa impactó en Jamaica
Melissa impactó en Jamaica con vientos sostenidos de hasta 290 km/h. Se espera que a su paso deje lluvias torrenciales y ráfagas devastadoras, según advirtieron las autoridades.
Cuba se mantiene en vilo
También se esperaba que Melissa tocara tierra en el este de Cuba tarde el martes como un huracán poderoso.
Había una alerta de huracán en efecto para las provincias de Granma, Santiago de Cuba, Guantánamo y Holguín, y se emitió una alerta de tormenta tropical para Las Tunas. Se esperaban hasta 51 centímetros de lluvia para partes de Cuba, junto con una marejada ciclónica significativa a lo largo de la costa.
Los funcionarios cubanos dijeron el lunes que estaban evacuando a más de 600.000 personas de la región, incluyendo Santiago, la segunda ciudad más grande de la isla.
Estremecedor relato
Matthew Cappucci, un meteorólogo que colabora con The Washington Post, contó en primera persona un sobrevuelo al ojo del huracán, que él realizó el domingo por la noche y que quedó plasmado en un video de la Administración Nacional Oceánica y Atmosférica (NOAA) y de su sitio, MyRadar.
Cappucci lo describió como “uno de los momentos más impactantes” de su carrera y “una visión única de la meteorología que la mayoría nunca tendrá”.
It was beautiful at night. I cannot imagine what it would be like to witness this beauty in the daytime: https://t.co/oXZPhZeClJ
— Matthew Cappucci (@MatthewCappucci) October 27, 2025
Estados Unidos movió sus embarcaciones desplegadas en el Caribe
Estados Unidos movió sus embarcaciones desplegadas en el Caribe ante la amenaza del huracán de máxima categoría Melissa.
Washington movilizó en agosto a siete buques de guerra, así como cazas F-35, para luchar contra el tráfico de drogas. Las fuerzas estadounidenses “implementaron planes para condiciones climáticas adversas y se alejaron de cualquier área donde las condiciones climáticas actuales o pronosticadas sean peligrosas y puedan representar niveles inaceptables de riesgo”, informó el Comando Sur del ejército
Alerta máxima por la llegada del huracán "Melissa"

El testimonio de un argentino que quedó varado con su familia en Jamaica
Alexis, un argentino que viajó con su familia a Jamaica y quedó varado en medio del huracán, habló con LN+ y sostuvo: “Por el momento, aparentemente pasaba por el sur y el norte sería menos afectado. Ahora dicen que pasaría por el centro”.
“Yo estoy del lado de donde saldría el huracán, no por donde ingresa. A medida que haga contacto con la Tierra podría debilitarse", sumó.
Y concluyó: “Estábamos de vacaciones, nos íbamos ayer y el domingo al mediodía decidieron cerrar los aeropuertos. Soy de Córdoba. Es la primera vez que veníamos a Jamaica. Por el momento, la aerolínea nos reprogramó para el viernes”.

Melissa avanza lentamente hacia Jamaica
Melissa avanza lentamente hacia la isla con vientos máximos sostenidos de 290 km/h, según el último boletín del centro estadounidense de huracanes (NHC). Este huracán de categoría 5, va camino de ser el más poderoso en alcanzar jamás Jamaica.
Existe el temor de que Melissa provoque una devastación comparable a la de huracanes históricos, como María en 2017 o Katrina en 2005, que dejaron huellas imborrables en Puerto Rico y en la ciudad estadounidense de Nueva Orleans.
El ojo del huracán
Un impresionante video permite ver desde adentro el ojo del huracán Melissa, que se acercaba a Jamaica el martes como una tormenta catastrófica de categoría 5, la más fuerte que ha golpeado la isla desde que se comenzaron a llevar registros hace 174 años.

Un avión de la Fuerza Aérea de Estados Unidos del 53.º Escuadrón de Reconocimiento Meteorológico, conocido como “Cazadores de Huracanes” de la Reserva de la Fuerza Aérea, sobrevoló el ojo de Melissa.
República Dominicana sigue de cerca a Melissa
El potente huracán Melissa se aleja de República Dominicana, pero su impacto se sentirá por varios días en este país con riesgo de inundaciones, informaron las autoridades el martes. Melissa, de categoría 5, la máxima en la escala Saffir-Simson, avanza lentamente por el Caribe, donde ya provocó siete muertos: tres en Jamaica, tres en Haití y uno en República Dominicana, donde equipos de rescate buscan a un adolescente desaparecido. Aunque su trayectoria prevista se alejó del país, el amplio campo nuboso alrededor de Melissa impacta con riesgo de nuevas inundaciones y deslizamientos de tierra.
1,5 millones de jamaiquinos, en riesgo
Al menos 1,5 millones de personas podrían verse afectadas por el huracán Melissa en Jamaica, advirtió este martes en Ginebra Necephor Mghendi, jefe de la delegación de la Federación Internacional de Sociedades de la Cruz Roja y de la Media Luna Roja (FICR) para el Caribe. Esta es una subestimación, añadió, ya que el impacto amenaza con interrumpir servicios esenciales, cerrar mercados y escuelas, y bloquear carreteras. Por lo tanto, “toda la población podría verse afectada de una u otra forma, además de los más vulnerables, aquellos en las zonas costeras. En general, toda la isla se verá afectada”, añadió en una videoconferencia.
La advertencia del servicio meteorológico
“Lo superaremos juntos”, declaró Evan Thompson, director del servicio meteorológico jamaicano. Sin embargo, el primer ministro, Andrew Holness, advirtió sobre la magnitud del desastre inminente: “No hay infraestructura en la región que pueda resistir una categoría 5. La verdadera pregunta será la velocidad de recuperación”.
A hurricane warning remains in effect for Jamaica as conditions continue to deteriorate ahead of hurricane landfall. pic.twitter.com/VoYGwOqxw1
— Andrew Holness (@AndrewHolnessJM) October 28, 2025
Los daños empiezan a hacerse sentir
Se reportaron deslizamientos de tierra, árboles caídos y numerosos cortes de energía antes de la tormenta. Las autoridades en Jamaica advirtieron que la limpieza y la evaluación de daños serían lentas. Se espera que la tormenta entre cerca de la parroquia de St. Elizabeth en el sur y salga alrededor de la parroquia de St. Ann en el norte, según los pronosticadores.
Cuba, también en alerta
Melissa también tocaría tierra en el este de Cuba este martes como un huracán poderoso. Había una alerta de huracán en efecto para las provincias de Granma, Santiago de Cuba, Guantánamo y Holguín, y se emitió una alerta de tormenta tropical para Las Tunas. Se esperaban hasta 51 centímetros de lluvia para partes de Cuba, junto con una marejada ciclónica significativa a lo largo de la costa.
Los funcionarios cubanos dijeron el lunes que estaban evacuando a más de 600.000 personas de la región, incluyendo Santiago, la segunda ciudad más grande de la isla.
Cuándo llega Melissa a Jamaica
Las autoridades y los servicios meteorológicos prevén que el centro del ciclón toque tierra en la isla este martes. El Centro Nacional de Huracanes de Estados Unidos (NHC) ubicó el centro de Melissa a unos 205 kilómetros al sursuroeste de Kingston, la capital jamaiquina, y a 505 kilómetros al sursuroeste de Guantánamo, Cuba. La tormenta se mueve lentamente hacia el oeste a una velocidad de seis kilómetros por hora, una característica que preocupa a los especialistas.
Piden moderar el agua
Matthew Samuda, ministro de Agua y Medio Ambiente de Jamaica, dijo que tenía más de 50 generadores disponibles para desplegar después de la tormenta, pero advirtió a las personas que aparten agua limpia y la usen con moderación. “Cada gota contará”, señaló.
El temor a perderlo todo
Colin Bogle, asesor de Mercy Corps con base cerca de Kingston, comentó que la mayoría de las familias se están refugiando en sus hogares a pesar de que el gobierno ordenó evacuaciones en comunidades propensas a inundaciones.
“Muchos nunca han experimentado algo como esto antes, y la incertidumbre es aterradora”, manifestó. “Hay un miedo profundo a perder hogares y medios de vida, a sufrir lesiones y a ser desplazados”.
Qué dijo el gobierno de Jamaica sobre el operativo
Horas antes de la tormenta, el gobierno de Jamaica dijo que había hecho todo lo posible para prepararse, mientras advertía sobre daños catastróficos.
“No hay infraestructura en la región que pueda soportar una categoría 5”, afirmó el primer ministro, Andrew Holness. “La pregunta ahora es la velocidad de recuperación. Ese es el desafío”.
Muertos y heridos previos a su llegada
Al menos siete personas murieron y otras trece resultaron heridas en distintas zonas del país caribeño durante las tareas de preparación previas a la llegada del huracán Melissa.
Según informó el ministro de Salud, Christopher Tufton, las víctimas fallecieron por accidentes vinculados con la caída de árboles o descargas eléctricas, mientras que la mayoría de los heridos sufrió golpes y caídas al intentar asegurar viviendas.
Evacuación urgente
“No se aventuren fuera de su refugio seguro”, advirtió el Centro Nacional de Huracanes de Estados Unidos (NHC, por sus siglas en inglés) en su comunicado matutino y luego detalló sobre los “efectos catastróficos” que podría tener el huracán en Jamaica.
Mientras, las autoridades jamaiquinas insistían en la urgencia de evacuar las zonas costeras. “Evacúen hoy, porque las condiciones van a deteriorarse”, remarcó la primera ministra Dana Morris Dixon, en un mensaje televisado que buscó convencer a los reacios a abandonar sus hogares.

El huracán Melissa se acerca a Jamaica
El huracán Melissa se acerca a Jamaica este martes como una tormenta catastrófica de categoría 5, la más fuerte que golpeó la isla desde que comenzaron a llevarse registros hace 174 años.
Con vientos sostenidos de hasta 270 kilómetros por hora, se espera que la tormenta toque tierra temprano y cruce diagonalmente la isla. Poco después, golpearía Cuba.
- 1
La irónica respuesta del rey Carlos III a Donald Trump: “Sin nosotros estarían hablando francés”
- 2
Entre guiños, ironías y un regalo inesperado: la trastienda de la cena de Estado entre Trump y Carlos III
3“Se desprendió el techo a 7315 metros”: el desastre aéreo más terrorífico que tuvo un final inesperado
4Milei apuntó contra Mamdani por el déficit en Nueva York: “Adelanté el desastre que causaría”





