Temor por un volcán submarino que podría entrar en erupción este año
Científicos predicen la próxima erupción del Axial Seamount, cerca del mar de Oregon, pronosticada entre mediados y finales de 2026; se encargaron de precisar cuál es el peligro para la vida humana
3 minutos de lectura'

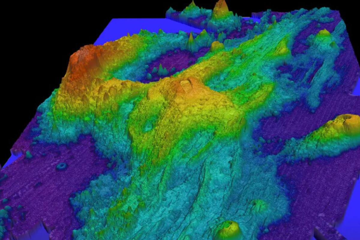
Un volcán submarino de gran magnitud, el Axial Seamount, podría erupcionar este año. Ubicado a unos 480 kilómetros de la costa de Oregón, en Estados Unidos, este gigante subacuático mostró signos de actividad que sugieren que podría producirse un evento eruptivo entre mediados y finales de 2026. Si bien la noticia podría generar inquietud en el público, los expertos relativizaron su alcance y aclararon que hay bajo riesgo para la vida humana.
Qué se sabe del volcán submarino
Axial Seamount es uno de los volcanes submarinos más activos, con erupciones documentadas en 1998, 2011 y 2015, aunque se presume que hay una actividad cada vez más frecuente. Se asienta en el límite de la placa divergente de la Dorsal Juan de Fuca, en medio del océano norteamericano. La inminente erupción fue confirmada por un investigador asociado de la Universidad Estatal de Oregón, ya que monitorearon un período de alta sismicidad e inflación constante del terreno submarino.

Estos fenómenos que vienen registrando los expertos son resultado directo del ascenso de magma del lecho marino hacia la superficie. Bill Chadwick, experto sobre este volcán, comentó a la revista especializada Live Science que la erupción “se espera ver más adelante este año”.
Cuando un volcán submarino entra en erupción, los procesos bajo el agua son bastante diferentes de los terrestres. La lava, al emerger, fluye rápidamente hacia el lecho marino, donde el contacto con el agua fría provoca un enfriamiento acelerado, creando “lavas almohadilladas” y flujos laminares. Este proceso químico es perjudicial para los organismos submarinos cercanos, que sucumben ante las elevadas temperaturas.
Simultáneamente, el calor del volcán impulsa la actividad en las chimeneas hidrotermales, lo que puede resultar en la liberación de grandes volúmenes de agua caliente saturada de minerales, formando “fumarolas negras”.

El ciclo eruptivo del Axial Seamount implica que cada vez que el magma asciende a la cámara superficial bajo el lecho marino, el volcán experimenta una inflación, abultándose hacia arriba. Una vez que una cantidad considerable de magma se derramó y se enfrió, la cámara magmática queda vacía, perdiendo su soporte estructural.
Esta descompresión de la estructura provoca el descenso de la caldera. En 1998, la caldera descendió aproximadamente tres metros; en 2011, 2.4 metros; y en 2015, 2.1 metros. La principal inquietud sobre el riesgo de la caída del volcán es la posibilidad de un “colapso de flanco catastrófico”, donde los lados del volcán cederían hacia adentro.
Afortunadamente, el riesgo directo para los seres humanos se considera extremadamente bajo. Los expertos enfatizan que un colapso de flanco del Axial Seamount, capaz de generar un tsunami con repercusiones catastróficas, es un evento “muy poco probable”.
En definitiva, la amenaza para la vida humana es prácticamente nula, a menos que el Axial se desestabilice excepcionalmente y se produzca un colapso masivo de sus laderas, escenario que no se prevé. La tranquilidad científica se basa en la comprensión de los mecanismos eruptivos submarinos y la considerable distancia de la costa estadounidense. Igualmente, el volcán submarino es estudiado constantemente por los científicos para seguir su evolución, ya que todos los datos recabados ayudan a comprender mejor cómo se comportan estas estructuras en el lecho marino.
Otras noticias de Virales
Desopilante. Una nena tramitó el DNI, pensó que estaba en una sesión de fotos y se volvió viral por lo que hizo
"Hay que animarse". Son padre e hijo y van en moto de Córdoba a Estados Unidos a ver el Mundial
Delatada por un anillo. El video de la China Suárez que dejó al descubierto la verdad sobre el inicio del romance con Icardi
- 1
Enemigos en la ficción, íntimos fuera de cámaras: el romance que cambió el destino de dos estrellas de The Boys
2La reunión clave en la que “Tati” Leclercq habló del consumo de anestésicos hospitalarios que derivó en su suspensión
3Lograron cartografiar el clima de planetas parecidos a la Tierra y se llevaron una sorpresa
4Cine York: el renacimiento de una mítica sala de barrio en plena crisis de la industria









