Hilary ya es un huracán de categoría 4: ¿dónde impactará?
Las autoridades de México y Estados Unidos comenzaron a activar las alertas; se esperan lluvias e inundaciones en varias zonas de ambos países
3 minutos de lectura'

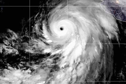
Este viernes, el huracán Hilary se intensificó y alcanzó la categoría 4 frente a la costa mexicana del Pacífico. En su ruta está California, Estados Unidos, a donde podría llegar el domingo como la primera tormenta tropical en 84 años, con grandes inundaciones. Según los pronósticos, seguiría como huracán cuando se acerque a la península mexicana de Baja California el sábado por la noche.
De acuerdo con el Centro Nacional de Huracanes de ese país, Hilary tenía vientos de 230 km/h a las 6 de la mañana y estos se intensificarían antes de su debilitamiento. Desde el 25 de septiembre de 1939, ninguna tormenta tropical tocó tierra en el sur de California, señala la agencia AP en su reporte más actualizado del Servicio Meteorológico Nacional.

Alertas en México y Estados Unidos ante la llegada de Hilary
Este viernes, Hilary estaba a 640 kilómetros al sur de Los Cabos. Por lo tanto, el gobierno del país azteca extendió la vigilancia hacia el norte y para partes del estado de Baja California Sur. En EE.UU., Hilary arribará el domingo al sur de California como tormenta tropical. Las fuertes lluvias estarán en el suroeste hasta el próximo miércoles, con un punto máximo el domingo y el lunes. Las zonas de riesgo de inundaciones van desde San Diego, hasta Las Vegas, Nevada.
El Servicio Meteorológico Nacional de Los Ángeles también advirtió de la posibilidad de olas peligrosamente altas, corrientes de resaca e inundaciones.

¿Cómo se formó Hilary?
Hilary comenzó a formarse como tormenta tropical frente a las costas de Manzanillo, en México, el pasado miércoles. Luego, se desplazó en dirección a Baja California, mientras se fortalecía en el camino. Si bien su intensidad podría fluctuar este día, seguirá como huracán cuando se acerque a la península de Baja California el sábado. Ahí se esperan lluvias hasta el domingo por la noche, con la posibilidad de inundaciones repentinas.
La temporada de huracanes del Pacífico oriental se mantuvo muy activa este verano, pero la mayoría de las tormentas tomaron rumbo hacia el oeste, en dirección a Hawái, como el huracán Dora, que contribuyó a incrementar los vientos que causaron los incendios forestales en Maui.
El período comenzó el 15 de mayo, dos semanas antes de que empezara la temporada del Atlántico. Ambas se acaban hasta el 30 de noviembre. En el Pacífico, este año se desarrolló el patrón meteorológico de El Niño, que complica los efectos sobre el clima. Diversos científicos coinciden, además, en que los huracanes son progresivamente más fuertes debido al cambio climático.
Una tormenta como Hilary es “extremadamente rara”
Sobre Hilary, Stefanie Sullivan, meteoróloga del Servicio Meteorológico Nacional en San Diego, calificó como “extremadamente raro” que una tormenta tropical salga del océano y toque tierra en California. Recordó que el único ciclón tropical semejante fue una tormenta sin nombre de 1939, en Long Beach, dijo en declaraciones citadas por The New York Times. No obstante, sí se han registrado tormentas que se debilitan antes de tocar tierra, pero que también causan inundaciones.
En California, el paso de estas precipitaciones podría ayudar a combatir la sequía y recargar las aguas subterráneas. Este enfriamiento también podría ser útil para Phoenix, al aliviar la ola de calor que enfrenta desde junio.
Otras noticias de Clima
Oficial. ¿Hasta cuándo continúa la alerta por tormenta invernal y el fenómeno detrás del viento y la nieve en Nueva York?
Advertencias del SMN. A qué hora llegan las tormentas a Buenos Aires hoy, lunes 23 de febrero
Mantenimiento básico. Cómo cuidar el aire acondicionado para que enfríe bien y evitar los errores más comunes
1Avanza el ICE: el mapa que muestra la influencia y aplicación del acuerdo 287(g) contra inmigrantes en EE.UU.
2Eclipse total de luna, equinoccio de primavera y los fenómenos astronómicos de marzo 2026
3Elecciones en Texas: qué dicen las encuestas sobre Greg Abbott tras varios días de votación anticipada por las primarias
4Dónde está el CJNG en México: el mapa de la DEA que muestra su ubicación exacta en cada estado









