Reaparece el fenómeno del Niño y pronostican una temporada de huracanes “potencialmente fuerte” en EE.UU.
Por un lado, este esquema suele aliviar las condiciones propicias para las tormentas, pero este 2026 “pulsea” contra la temperaturas marítimas
4 minutos de lectura'

Tras un período dominado por La Niña, los expertos climáticos de Estados Unidos anticipan una transición hacia condiciones neutrales y, posteriormente, la posible reaparición de El Niño. Este fenómeno no solo altera temperaturas y lluvias, sino que también impacta directamente en la intensidad y frecuencia de los huracanes en el Atlántico. Los especialistas advierten que este año podría romper varios esquemas conocidos.
La transición climática en marcha: un paso hacia la neutralidad y luego ¿El Niño?
Según un comunicado del Climate Prediction Center de la NOAA, actualmente el sistema ENSO (El Niño-Oscilación del Sur) se encuentra bajo un estado de “advertencia La Niña” junto con una vigilancia activa por el desarrollo de El Niño.

Durante febrero de 2026, La Niña continuó presente, con temperaturas de la superficie del mar por debajo del promedio en el Pacífico ecuatorial central y oriental, lo que confirmó la persistencia de este patrón climático.
De acuerdo con la Oficina Nacional de Administración Oceánica y Atmosférica (NOAA, por sus siglas en inglés), los indicadores oceánicos y atmosféricos muestran que este escenario está en proceso de cambio.
Se espera que en el transcurso del próximo mes se produzca una transición hacia una fase neutral, con una probabilidad estimada del 55% de que estas condiciones se mantengan entre mayo y julio de 2026.
Sin embargo, la evolución posterior es la que concentra la mayor atención de los meteorólogos: existe un 62% de probabilidades de que El Niño se desarrolle entre junio y agosto, con perspectivas de mantenerse activo al menos hasta finales de año.
¿Un evento fuerte en camino?
El mismo reporte de la NOAA advierte que, aunque la aparición de El Niño es cada vez más probable, su intensidad aún es incierta. No obstante, las estimaciones actuales indican que existe aproximadamente una probabilidad de uno en tres de que el fenómeno alcance una categoría “fuerte” hacia el período comprendido entre octubre y diciembre de 2026.

Desde FOX Weather señalan que algunos de los modelos climáticos más agresivos van incluso más allá, al sugerir entre un 80% y un 90% de probabilidades de que el evento alcance una intensidad considerable, e incluso algunos proyectan un episodio muy fuerte.
Estas previsiones, aunque sujetas a variabilidad, están respaldadas por la gran cantidad de calor acumulado bajo la superficie del Pacífico y por los cambios en la circulación atmosférica ya observados.
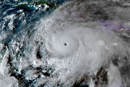
Impacto de El Niño en la temporada de huracanes
Según FOX Weather, la posible llegada de El Niño tiene implicancias directas sobre la temporada de huracanes en el Atlántico. En condiciones normales, este fenómeno tiende a reducir la actividad ciclónica al incrementar la cizalladura del viento en niveles altos de la atmósfera. Este efecto dificulta la organización de tormentas tropicales, al impedir que muchas de ellas se intensifiquen.

Además, El Niño suele favorecer una atmósfera más estable, lo que también limita el desarrollo de sistemas convectivos necesarios para la formación de huracanes. Históricamente, esto se tradujo en temporadas con menor cantidad de tormentas.
Sin embargo, el panorama para 2026 presenta un elemento adicional que podría alterar este comportamiento típico. Las temperaturas de la superficie del mar en el Atlántico se mantienen cercanas o incluso por encima del promedio, lo que proporciona energía adicional para el desarrollo de tormentas.
Esta situación genera una especie de “pulseada” entre dos factores opuestos: por un lado, las condiciones atmosféricas desfavorables impulsadas por El Niño; por otro, océanos más cálidos que favorecen la intensificación de ciclones.
Otras noticias de Agenda EEUU
1Nueva York: la misteriosa escuela de Queens que obtuvo US$2 millones de Donald Trump
2Carlos Ray: el verdadero nombre de Chuck Norris y el vínculo con un ministro que pocos conocen
3El ICE la arrestó en EE.UU. y la deportó a Honduras sin su hijo: el niño murió al cuidado de un familiar
4Lo confundieron con Jeffrey Epstein en Florida y resultó ser un extenista famoso: “Mi teléfono explotó”









