Las increíbles imágenes desde el espacio con la trayectoria y el ojo del huracán Melissa
El fenómeno climático, formado el 21 de octubre de 2025, alcanzó la máxima intensidad en la escala Saffir-Simpson mientras se dirige a su primer impacto con Jamaica
5 minutos de lectura'

El huracán Melissa alcanzó la categoría 5, con vientos sostenidos de más de 160 millas por hora (257 km/h) y se dirige hacia Jamaica, donde se prevé su impacto directo. Las imágenes desde el espacio muestran el desarrollo del fenómeno climático y su desplazamiento hacia el norte del Caribe, con riesgo de lluvias intensas, marejadas ciclónicas y deslizamientos de tierra.
Imágenes satelitales revelan la magnitud del huracán Melissa
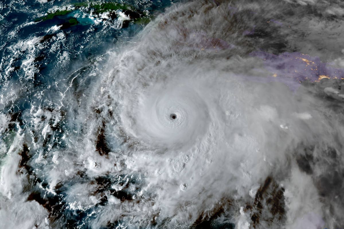
Las imágenes captadas por satélites GOES y difundidas por el Instituto Cooperativo para la Investigación en la Atmósfera de la Universidad Estatal de Colorado, en colaboración con la Administración Nacional Oceánica y Atmosférica (NOAA, por sus siglas en inglés), mostraron la estructura del huracán Melissa desde el espacio. En los videos se aprecia un ojo perfectamente definido, con un diámetro de alrededor de 18,5 kilómetros, rodeado de nubes de gran desarrollo.

Durante la jornada del domingo 26 de octubre, las capturas mostraban relámpagos alrededor del centro del sistema mientras el ciclón aumentaba su intensidad. Con el amanecer del lunes, Melissa evolucionó a categoría 5, lo que consolidó su estatus como un huracán mayor.
El avión cazahuracanes de la Reserva de la Fuerza Aérea de Estados Unidos confirmó los datos obtenidos desde el espacio. En su último vuelo, el equipo registró un incremento en la velocidad de los vientos y una disminución en la presión central, indicadores del fortalecimiento del sistema.
El huracán Melissa alcanzó la categoría 5 y se dirige hacia Jamaica
De acuerdo con los reportes del Centro Nacional de Huracanes (NHC, por sus siglas en inglés), el sistema presenta vientos sostenidos de alrededor de 160 millas por hora (257 km/h), con ráfagas que pueden superar las 195 mph (315 km/h). La presión central, un indicador de la intensidad del fenómeno, es baja, de 917 milibares.
El huracán se desplaza lentamente hacia el oeste, a unas 35 mph (5,5 km/h) y se espera que impacte directamente en Jamaica durante la madrugada del martes. Las autoridades locales emitieron advertencias ante el posible aumento del nivel del mar, la presencia de marejadas ciclónicas de hasta cuatro metros y la probabilidad de inundaciones y deslizamientos en zonas montañosas.
La trayectoria proyectada indica que, tras su paso por Jamaica, el núcleo del huracán continuará el martes por la noche hacia el sureste de Cuba y, el miércoles, sobre las Bahamas el miércoles. Las Islas Turcas y Caicos y Bermudas también podrían experimentar oleajes elevados y condiciones peligrosas en el transcurso de la semana.

Posibles efectos del huracán Melissa en Jamaica y en varias islas del Caribe
El NHC advirtió que Jamaica enfrentará condiciones severas a medida que el sistema se acerque. Se prevén lluvias intensas, ráfagas destructivas y una marejada ciclónica con alturas de entre dos y cuatro metros sobre el nivel del mar.
Los pronósticos indican que las zonas del sur y sureste de la isla serán las más afectadas por la combinación de viento, oleaje y lluvias torrenciales.
Los meteorólogos pidieron a la población permanecer en refugios y evitar desplazamientos hasta que se confirme el paso del ciclón. Los especialistas advirtieron que los vientos podrían ser más fuertes en las zonas montañosas, lo que aumentaría el riesgo de cortes de energía y daños estructurales.
En Cuba, las autoridades meteorológicas anticipan que Melissa llegará al sureste del país como un huracán de gran intensidad. También se esperan marejadas ciclónicas en la costa suroriental, con olas de hasta casi tres metros, y precipitaciones que podrían causar inundaciones en áreas urbanas y rurales.

Haití, República Dominicana y las Bahamas, bajo alerta por el huracán Melissa
El NHC extendió las advertencias a otros territorios del Caribe. En Haití y la República Dominicana, los organismos de emergencia prevén lluvias que podrían provocar inundaciones repentinas y deslizamientos de tierra, especialmente en zonas montañosas del suroeste y sur de ambos países.
En el sureste de las Bahamas y las Islas Turcas y Caicos, se pronostica la llegada de condiciones de huracán el miércoles 29 de octubre, acompañadas de marejadas y vientos sostenidos. Las autoridades locales recomendaron completar las medidas de prevención antes del martes por la noche.
Las proyecciones de oleaje indican que las corrientes marinas generadas por Melissa podrían llegar también a las Islas Caimán y las Bermudas hacia el final de la semana, lo que aumentaría el riesgo de corrientes de resacas y olas destructivas.
Los especialistas advierten que el huracán podría experimentar fluctuaciones en su intensidad debido a procesos internos, como el reemplazo de la pared del ojo, un fenómeno común en ciclones de alta magnitud. Sin embargo, se mantiene la posibilidad de que conserve fuerza de categoría 5 durante su desplazamiento por el Caribe occidental.
Otras noticias de Huracanes
Clima. Un supertifón en el océano Pacífico tocará tierra en territorio estadounidense con vientos peligrosos
Temporada de huracanes. El impacto de El Niño en las costas de Florida en 2026
En Texas. Temporada de huracanes 2026: último pronóstico y el impacto que podría tener El Niño en el clima del estado
1Buenas noticias en Texas: Abbott financia certificaciones en trabajos con alta demanda en 2026
2El grito de Maduro que se escucha de noche en la cárcel de Brooklyn: “Soy el presidente de Venezuela”
3Para miles de migrantes: qué pasará con los permisos de trabajo del Uscis este 24 de abril en EE.UU.
- 4
Renunció la secretaria de Trabajo de Donald Trump tras acusaciones de abuso de poder







