Desde Nueva York: el apoyo de Eric Adams a un grupo especial de latinos por el avance del huracán Melissa
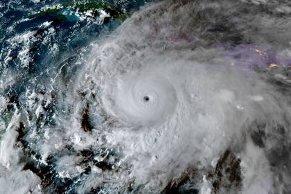
La tormenta de categoría 5 podría llevar vientos destructivos, marejadas ciclónicas e inundaciones catastróficas a Jamaica durante este lunes; luego continuaría hacia otros países de la región
4 minutos de lectura'

Mientras el huracán Melissa de categoría 5 avanza hacia Jamaica y amenaza con continuar su recorrido hacia Cuba, Haití, República Dominicana y las Bermudas, la comunidad latina de Nueva York se mantiene expectante por el impacto en sus países de orígen. Desde allí, el alcalde Eric Adams compartió un sentido mensaje y remarcó que se mantendrá atento a las últimas actualizaciones para ayudar a las personas del Caribe.
Eric Adams y su mensaje para los latinos en Nueva York por el huracán Melissa
El huracán Melissa, que se fortaleció hacia la categoría 5 esta mañana con vientos sostenidos de 160 millas por hora (257 km/h), genera una amenaza directa para Jamaica. En este contexto, la comunidad latina en Nueva York, especialmente aquellas personas de origen caribeño, siguen de cerca las últimas noticias del peligroso fenómeno meteorológico. En ese contexto, Eric Adams publicó un mensaje en su cuenta en X (ex Twitter) para solidarizarse con ese grupo de extranjeros.

“Sé que muchas de nuestras comunidades están siguiendo de cerca el huracán Melissa, especialmente los neoyorquinos jamaicanos, mientras la tormenta avanza por el Caribe. Mantendremos presentes en nuestras oraciones a todos aquellos que se encuentren en el camino de la tormenta", expresó.
En esa misma línea, enfatizó: “Mientras tanto, también estaremos siguiendo las últimas actualizaciones sobre la tormenta y estaremos listos para ayudar a nuestros hermanos y hermanas del Caribe siempre que sea posible”.
Si bien el foco está puesto en Jamaica, en donde se espera que la tormenta impacte este lunes, no será al único país que este ciclón afectará. Los meteorólogos proyectan que Melissa se moverá sobre el sureste de Cuba y las Bahamas entre martes y miércoles. Las consecuencias climáticas también podrían llegar a Haití y República Dominicana.
La amenaza del huracán Melissa que provocó el mensaje de Eric Adams en Nueva York
Durante este lunes 27 de octubre, el huracán Melissa llevará vientos destructivos, marejadas ciclónicas e inundaciones catastróficas a Jamaica, según informó el Centro Nacional de Huracanes (NHC, por sus siglas en inglés).
En su sitio web oficial, la agencia gubernamental advertencia para estos países del Caribe:
- Jamaica: inundaciones repentinas que amenazan la vida y numerosos deslizamientos de tierra, desde el lunes hasta el martes. Vientos catastróficos con el potencial de causar fallas estructurales totales, especialmente en áreas de elevación más altas. Se esperan daños infraestructurales extensos, así como también cortes de energía y de comunicaciones de larga duración. Se esperan marejadas ciclónicas y olas dañinas a lo largo de la Costa sur hasta el martes.
- Haití y República Dominicana: se esperan inundaciones repentinas y deslizamientos de tierra hasta mediados de la semana. En Haití, daños infraestructurales extensos y aislamiento de comunidades son probables. Se prevén condiciones de tormenta tropical a última hora del martes y durante el miércoles.
- Este de Cuba: se pronostican fuertes lluvias con anegaciones y deslizamientos de tierra a partir de este lunes. Podría haber marejadas ciclónicas y vientos dañinos que amenazan la vida a última hora del martes.

En números: los latinos que residen en Nueva York
En el estado de Nueva York, la población cubana cuenta con 83.441 habitantes, según un informe de la firma Nielsberg basado en datos de la Oficina del Censo. Esta cifra equivale al 0,42% de los 19,9 millones de personas que comprenden la población total del estado. La mayor concentración de personas de origen cubano está en Manhattan, en donde viven aproximadamente 11.000.

En el caso de los haitianos, la comunidad es mayor, con un número que asciende a 184.585 migrantes oriundos de Haití. El número representa al 0,93% de los residentes totales, lo que supera el promedio nacional del 0,33%.
De acuerdo al mismo sitio, la población jamaiquina en Nueva York es de 311.100 habitantes, es decir, el 1,6% del total de los residentes del estado. En cuanto a República Dominicana, hay 892.413 extranjeros de ese país, con una concentración mayor en el Bronx (332.236).
Otras noticias de Eric Adams
¿Se despide de Nueva York? La razón por la que Eric Adams recibió la ciudadanía y el pasaporte de Albania
En Nueva York. El proyecto olvidado por Adams que Mamdani rescató y cambiará la fachada del Puente de Brooklyn
Alerta en NYC. La regla del exalcalde Adams que puede generarte multas de US$200 por botes de basura
1Por qué recomiendan poner una moneda en el router del wi-fi y para qué sirve
2¿Accidente o asesinato? El escalofriante caso real detrás de la serie de Netflix que está en boca de todos
- 3
Peter Thiel, fundador de PayPal junto a Elon Musk: compró una mansión en Barrio Parque y pagó un precio récord
4Cena secreta en Palermo y tarde de karting: los gestos que unen a Franco Colapinto con la actriz Maia Reficco









