Decisión soberana. Sheinbaum negó presiones externas para suspender los envíos de petróleo a Cuba y prometió solidaridad con la isla
Freno a la carne. México levantó las sanciones sanitarias a frigoríficos argentinos, pero subió un 25% los aranceles
Crimen de un argentino en Tulum: se confirmó la hipótesis del narcomenudeo y detuvieron a dos sospechosos
Uno por uno. Cuáles son los carteles presentes en México, designados como “terroristas” por Donald Trump
En México. Laura Sbdar recibió el Premio Internacional de Literatura Aura Estrada
Peor temporada en años. El sargazo amenaza a uno de los destinos más paradisíacos del Caribe: hoteles vacíos, playas cerradas y agua turbia
Disturbios. Una marcha de la Generación Z en México se vuelve una violenta protesta contra Sheinbaum
Crimen organizado. Balas, sobornos y extorsión: ser alcalde en México se volvió un oficio de alto riesgo
"Sacar a los zurdos". Un magnate televisivo quiere llegar a la presidencia con un estilo parecido a Milei
Mendoza, cuna de una nueva alianza
"Una sentida despedida". Adiós Texas: el restaurante latino, popular por su decoración navideña, que cierra para siempre
De Buenos Aires al mundo. Los dulces y la panadería porteña que seducen a los paladares extranjeros
“Suspendidos de manera temporal”. El país latino que se une al portazo a Donald Trump y cancela los envíos postales a EE.UU.
“Ni siquiera intentarán pasarlo”. La llamativa medida de Estados Unidos en el muro que lo separa de México para amedrantar a los migrantes
“Apropiación cultural”. Las nuevas sandalias de Adidas desatan la furia en México: acusan plagio y amenazan con demandas
Divertido cruce. La insólita pregunta que le hicieron al “Loco” Abreu en México y que lo descolocó: “A mí hablame...”
Nuevo frente. La creciente disputa entre México y Estados Unidos por el agua en medio de una devastadora sequía
Desmantelan en México una poderosa organización de robo de combustibles
Autoridades detienen a 32 personas vinculadas con robo de combustible en México
Se forman tormentas tropicales Barry y Flossie frente a costas sureste y suroeste de México
Localizan 34 cadáveres en fosa clandestina en el oeste de México
Banco Central México reduce tasa clave nuevamente en 50 pb, ve más recortes
Rusia dice estar lista para suministrar gas natural a México
México detiene a tres personas con 110.000 pastillas de fentanilo
"Te quieren saludar". El día que una leyenda del boxeo mexicano conoció al “Chapo” Guzmán: ojos vendados y un regalo que rechazó
Sube a 222 número de mexicanos detenidos en EEUU tras redadas y protestas en Los Ángeles
Mercados mexicanos: ¿qué dicen los analistas? 20 de junio
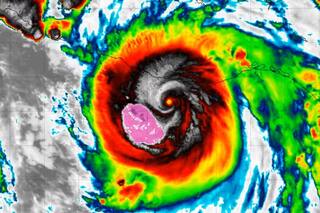
Alerta. Erick tocó tierra en el estado mexicano de Oaxaca como huracán de categoría 3
Avance del huracán Erick de categoría 3 pone en alerta a las costas de México del Pacífico sur
Más leídas
1María Julia Oliván denunció un episodio de discriminación contra su hijo: “Un nene con autismo no es una amenaza”
2Jugó en la selección argentina, se retiró por las graves lesiones y hoy trabaja como guardavidas
3Hallaron una meduda gigante del tamaño de un micro escolar en el Mar Argentino
4Del repudio a “Nodio” al silencio con Milei: incomodidad entre los aliados por la creación de la Oficina de Respuesta




























