¿Ya no habrá más huracanes este 2025?, lo que dicen los expertos en EE.UU.
La falta de lluvias en África occidental debilitó las ondas del este, origen habitual de los huracanes atlánticos, y contribuyó a una pausa sin precedentes desde 1992
4 minutos de lectura'

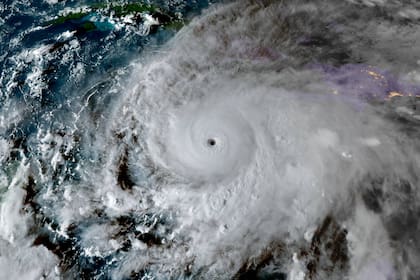
La temporada de huracanes 2025 en el Atlántico ha atravesado un período inesperadamente calmo, pese a las previsiones que anticipaban una actividad superior al promedio. Los expertos de la Universidad Estatal de Colorado (CSU, por sus siglas en inglés) atribuyen esta pausa a un conjunto de condiciones atmosféricas y oceánicas que limitaron el desarrollo de nuevas tormentas. En ese contexto, surge la incógnita de qué podría ocurrir en noviembre, el último mes del calendario ciclónico.
¿Por qué se calmó la actividad ciclónica en el océano Atlántico?
El informe de la CSU identifica tres causas principales detrás del freno en la formación de huracanes. La primera es la sequedad y estabilidad del Atlántico tropical. La segunda es la presencia de un trough troposférico superior —una corriente de aire frío en niveles altos de la atmósfera— sobre el Atlántico occidental. Este fenómeno aumenta la cizalladura del viento, la diferencia de velocidad entre capas de aire que puede desorganizar los ciclones. Por último, la tercera es la reducción de lluvias sobre África occidental.

Según los investigadores Philip Klotzbach, Michael Bell y Levi Silvers, esta combinación de factores creó un entorno poco propicio para el crecimiento de ciclones tropicales.
La atmósfera mostró baja inestabilidad vertical y humedad por debajo del promedio histórico, lo que impidió la formación de convección profunda. Al mismo tiempo, el fortalecimiento del anticiclón de las Azores trajo aire seco desde el norte hacia el trópico.
La influencia africana en la calma de la temporada de huracanes
El estudio también identificó una marcada subsistencia atmosférica sobre África, que disminuyó las precipitaciones en la región occidental del continente. Este fenómeno debilitó las ondas del este africanas, sistemas que suelen actuar como origen de los huracanes atlánticos.
La falta de estas perturbaciones, sumada a la sequedad del aire y al viento desfavorable, generó una de las pausas más prolongadas en décadas. Desde 1950, solo en 1992 se había registrado un período sin tormentas nombradas entre el 29 de agosto y el 16 de septiembre.

Los huracanes de noviembre en el Atlántico: raros, pero con potencial devastador
En noviembre, las condiciones atmosféricas del Atlántico dificultan la formación de ciclones tropicales. “Noviembre no es conocido por su actividad tropical”, explicó Dan Kottlowski, meteorólogo jefe de huracanes de AccuWeather.
El especialista señaló que, para esa época del año, “los vientos del oeste están bien establecidos sobre el sur de Estados Unidos y el norte del golfo de México”, lo que restringe las oportunidades de desarrollo ciclónico al Caribe y al extremo sur del golfo.

Según los registros de la NOAA, entre 1851 y 2024 se formaron 51 huracanes en noviembre, aunque solo cuatro tocaron tierra en Estados Unidos. Estos son algunos de los ciclones más destacados que surgieron en este mes del año:
- Nicole (2022): es el más reciente y azotó la costa este de Florida.
- Eta (2020): alcanzó categoría 5 antes de impactar en Nicaragua y posteriormente avanzó hacia Cuba y Florida.
- Otto (2016): fue el único huracán que cruzó Costa Rica hacia el océano Pacífico.
- Lenny (1999): se convirtió en el más fuerte registrado en noviembre y avanzó de oeste a este, lo que le valió el apodo de “Lenny al revés”.
- Kate (1985): es el huracán más intenso que llegó a territorio estadounidense durante ese mes.
Kottlowski destacó que “Otto se convirtió en el huracán más tardío registrado en el Caribe y el más fuerte formado tan avanzado el año”, lo que confirma que, aunque poco comunes, los ciclones de noviembre todavía son una amenaza real para el Caribe y el Atlántico occidental.
Otras noticias de Huracanes
"Apoyo a la recuperación". El gobierno de Donald Trump anuncia ayuda humanitaria para Cuba: de qué se trata
Buenas noticias en Florida. Ron DeSantis lanzó una ayuda millonaria para pequeñas ciudades azotadas por tormentas
Antecedentes. La razón por la que ningún huracán del Atlántico tocó tierra en EE.UU. por primera vez en una década
1El sospechoso del ataque de Austin llevaba un buzo con la frase “Propiedad de Alá” y una camiseta con la bandera iraní
2Eclipse lunar total en Estados Unidos: hora y cómo ver el fenómeno que pintará el cielo nocturno de marzo
3Buenas noticias en Florida: Hialeah aplicará un alivio fiscal para adultos mayores que cumplan ciertos requisitos
4Es oficial: qué cambia para migrantes en el DMV de Texas a partir del 5 de marzo









